ONDER BOD - Er worden 2 inloopdagen gehouden: woensdag 31 december 2025 van 14.00 tot 16.30 uur en op zaterdag 3 januari 2026 van 11.00 tot 13.00 uur. U bent van harte welkom om vrijblijvend een kijkje te komen nemen.
Goed gelegen aan een kindvriendelijk en rustig woonerf bieden wij u een nog af te werken hoekwoning aan. Deze fijne gezinswoning heeft o.a. 3 (mogelijkheid tot 4) slaapkamers, doorzon woonkamer, luxe badkamer, 11 zonnepanelen, berging en een tuin op west met achterom.
De locatie heeft veel te bieden, zo woon je bij de dorpskern met een diversiteit aan voorzieningen, zijn de uitvalswegen richting Maastricht, Luik en Aken snel bereikbaar en tal van natuur en recreatiegebieden zoals de Maas met de Eijsder Beemden of het Savelsbos liggen letterlijk om de hoek.
Indeling
Begane grond:
Entree met garderobe, meterkast, het toilet en de trap naar de 1e verdieping. Via de hal bereikt u de mooie doorzon woonkamer van ca. 31m² met trap/voorraadkast en een tuindeur aan de terraszijde. De open keuken is 11m² groot en gesitueerd aan de straatzijde. Er is een moderne keukeninstallatie in U-opstelling voorzien van onder meer een combi-magnetron, een stoomoven, inductie kookplaat, vaatwasser, afzuigkap en een aanrechtblad met rvs spoelbak en mengkraan.
1e Verdieping:
Overloop met de vaste trap naar de 2e verdieping. Er zijn op deze verdieping 3 slaapkamers van respectievelijk 15m², 12m² en 10m² groot. De moderne badkamer van 2.20x1.85m is voorzien van een heerlijk ligbad met douchegedeelte, een wastafelmeubel, designradiator en een hangtoilet.
2e Verdieping:
De 2e verdieping is bereikbaar middels de vaste trap. Deze grote ruimte van 29m² is ideaal om in te richten als werk/hobbykamer. In deze ruimte zijn de aansluitingen voor wassen en drogen. Ook de gehuurde combiketel is er geplaatst. Een 4e slaapkamer is in een handomdraai gerealiseerd. Slechts 2 dakramen of een dakkapel plaatsen en u heeft er een heerlijke woonruimte bij!
Buiten:
De achtertuin op west is ca. 10 meter diep en 6.50 meter breed. De tuin heeft o.a. een terras, borders met groen en een achterom.
De berging is 3.80x2.65m groot en is gelegen aan de voorzijde. Hier aan de voorkant is plek voor makkelijk 2 auto’s en bestaat de mogelijkheid om een carport te plaatsen.
Ligging:
De woning is gelegen aan het autoluwe Bisschop Eraclesplein. Het plein is ingericht met veel borders, groen, kunst en enkele parkeervakken.
Eijsden kenmerkt zich als een rustig, met groen omgeven kerkdorp gelegen nabij Maastricht. Het dorp heeft diverse natuur- en wandelgebieden zowel bij de Maas als bij het Savelsbos. Er is veel variatie in winkels, diverse sportclubs en scholen. Ook de Bourgondiër weet Eijsden te waarderen om zijn uiteenlopende horeca gelegenheden.
KENGETALLEN / BIJZONDERHEDEN
- Gebruiksoppervlakte wonen: ca. 100m²
- Overige inpandige ruimte: 29m² (2e verdieping)
- Externe bergruimte: 10m² (berging)
- Kavel: 175m²
- Bouwjaar: 1979
- Energielabel: B
- 11 Zonnepanelen eigendom, geplaatst in 2019
- CV combiketel Intergas bouwjaar 2014, huur Volta
- Mogelijkheid voor een 4e grote slaapkamer
- Verrassend ruim van binnen, bescheiden van buiten
- Mogelijkheid voor het plaatsen van een carport
- De woning dient naar eigen smaak nog afgewerkt te worden. De uit te voeren werkzaamheden zijn o.a. vloeren leggen, trap bekleden en schilderen.
OPLEVERING
In de huidige staat, as is-where is. Een lijst met roerende zaken is niet van toepassing.
AANVAARDING
Kan per direct/in overleg.
BIEDINGEN
U kunt uw bod schriftelijk of digitaal uitbrengen middels het biedingsformulier vóór 12 uur woensdag 14 januari 2026.
KADASTRAAL
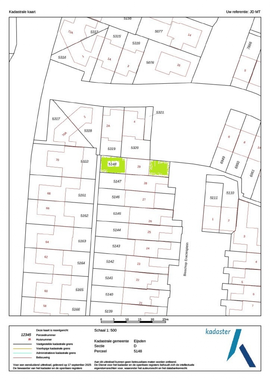
Gemeente Eijsden, sectie D, nummer 5148, groot 175m².
BEZICHTIGING
Uitsluitend op afspraak via makelaar Jeannot Deckers, 06-53305555 / info@jeannotdeckers.nl
Voetnoot:
AANSPRAKELIJKHEID
Hoewel gestreefd is naar een zo zorgvuldig mogelijke weergave van de beschikbare gegevens, moet er van uitgegaan worden dat deze brochure slechts indicatief is.
De vermelde gegevens (bedragen, jaartallen, omschrijvingen etc.) zijn onder andere verkregen door mondelinge overdracht.
Wij attenderen de kopers op haar onderzoekplicht.
KOOPAKTE / SCHRIFTELIJKHEIDSVEREISTE
De koopovereenkomst wordt opgesteld volgens model NVM. Verkoper stelt uitdrukkelijk dat een koop alleen tot stand komt als over alle hoofdzaken (zoals koopsom) en over de details (zoals oplevering) overeenstemming is bereikt. Kopers kunnen (laten) aantonen dat zij onderzoek hebben verricht naar de financiële haalbaarheid voor de aankoop. De overeenstemming wordt schriftelijk vastgelegd in een koopovereenkomst die door koper en verkoper ondertekend wordt.
ONTBINDING
De termijn die wordt opgenomen voor eventuele (overeengekomen) ontbindende voorwaarden (b.v. financiering) is in de regel 6 weken na het ondertekenen van de koopovereenkomst.
ZEKERHEIDSTELLING
De waarborgsom/bankgarantie is 10% van de koopsom. De koper dient deze binnen een week na einde voorbehoud(-en) bij de desbetreffende notaris te deponeren.
Wij vertrouwen erop u hiermee correct te hebben geïnformeerd en verwelkomen u graag in deze goed gelegen woning.
Hartelijk dank voor uw belangstelling en graag tot ziens.
Jeannot Deckers Makelaardij & Taxatieburo
Tel: 06-53305555 / mail: info@jeannotdeckers.nl




























